Działka rekreacyjna - Kopań
Działka na sprzedaż
Kopań, Kopań
pow. 3 924,00m2, 470 000 zł
oferta
z
pow. działki
3 924,00
szczegóły oferty
| Nr oferty | 0207828 | Typ nieruchomości | Działka rekreacyjna |
|---|---|---|---|
| Typ transakcji | Sprzedaż | Rynek | Wtórny |
| Cena | 470 000 PLN | Cena metra | 120 PLN |
| Kraj | Polska | Województwo | Zachodniopomorskie |
| Powiat | sławieński | Gmina | Darłowo |
| Miejscowość | Kopań | Ulica | Kopań |
| Powierzchnia | 3924.00 | Rodzaj Własności | Własność |
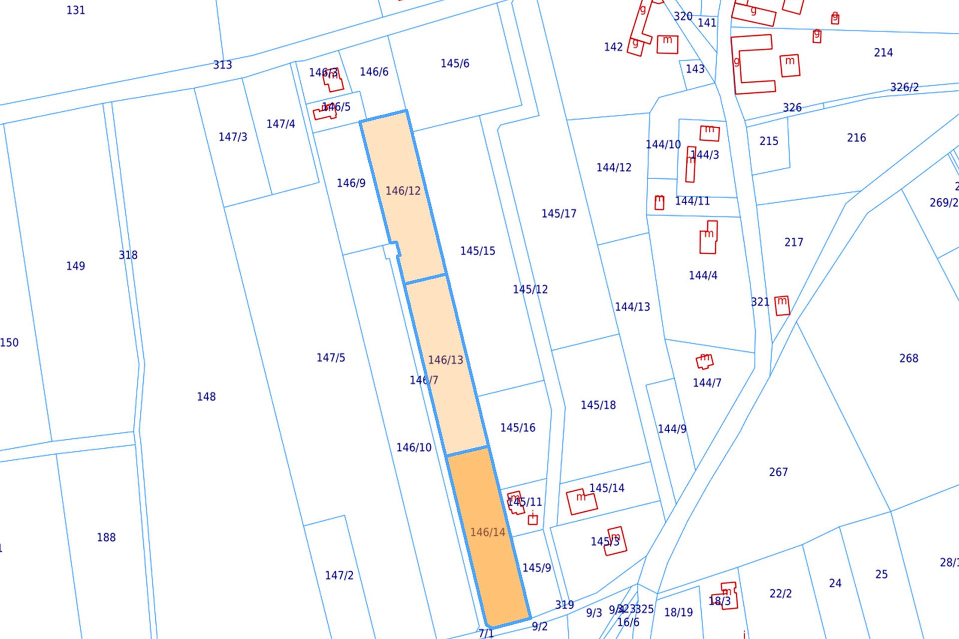
Na sprzedaż działka niezabudowana o pow. 3924 m2, położona w nadmorskiej miejscowości Kopań k. Darłowa, ok. 1,2 km od jeziora.
Malownicza miejscowość wczasowo - letniskowa nad jeziorem Kopań, w odległości ok. 2 km od morza.
Działka w bezpośrednim sąsiedztwie nieruchomości zabudowanych budynkami mieszkalnymi.
W aktualnym planie zagospodarowania przestrzennego działka oznaczona jako tereny rolne.
Kształt działki prostokątny o wymiarach : ok. 31 x 125 m.
Kształt działki prostokątny o wymiarach : ok. 31 x 125 m.
Klasyfikacja użytków : R IIIb.
Media: energia i wodociąg - na terenie sąsiednich nieruchomości.
Udział w drodze wewnętrznej dojazdowej - w cenie działki.
Odległość do Darłowa 5 km, do Ustki 38 km.
Udział w drodze wewnętrznej dojazdowej - w cenie działki.
Odległość do Darłowa 5 km, do Ustki 38 km.
Możliwość kupna dwóch sąsiednich działek o pow. po 0,3924 ha.
lokalizacja nieruchomości
galeria zdjęć
Opiekun oferty
Jerzy Ławecki
Zapytaj o szczegóły
Zobacz inne oferty:
Mieszkanie
473 000 PLN
Nowe mieszkania deweloperskie, Osiedle Zwycięstwa.
Lokalizacja: Koszalin, Zwycięstwa
Powierzchnia: 53.75 m2
Powierzchnia: 53.75 m2
Działka
470 000 PLN
Działka rekreacyjna Sprzedaż:
Kopań
Lokalizacja: Kopań, Kopań
Powierzchnia: 3924.00 m2
Powierzchnia: 3924.00 m2




601 222 061